What is a Category 5 storm?

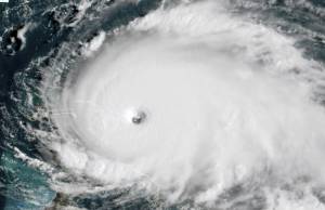
[Article] L'ouragan Dorian qui balaye le nord des Bahamas et se rapproche lentement de la Floride est d'une puissance exceptionnelle et a atteint la catégorie 5.

Si vous ne connaissez pas un mot, surlignez-le avec votre souris et cliquez sur “Translate” pour le traduire dans la langue de votre choix.


Profitez de la lecture automatique avec accent avec un abonnement

What is a Category 5 storm?Hurricane Dorian has slammed into the northern Bahamas, one of the strongest storms to make landfall in history. It's also the fifth Category 5 storm to form in the Atlantic in the past four years. Here are some facts about what makes a Category 5 storm and what to expect as...
This article was published Monday, 2 September, 2019 by AFP (449 words)
Article complet réservé aux abonnés.
Accédez à l'intégralité de l'article, choisissez un abonnement
What is a Category 5 storm.jpg

NOAA/RAMMB/AFP / HO This satellite image obtained from NOAA/RAMMB shows Tropical Storm Dorian as it approaches the Bahamas at 13:40 UTC on September 1, 2019


Plus d'articles